Kalimagneziya (Kalimag) este un îngrășământ mineral solubil cu mai mulți nutrienți. Este fabricat din minerale naturale. Kalimagneziya și kalimag sunt substanțe diferite, dar diferențele dintre ele sunt nesemnificative; nu contează pentru fermier. Drogul este produs de diverse companii; vânzare cu amănuntul cel mai adesea ambalaje de 1 kg și 3 kg. Instrucțiunile pentru utilizarea acestui îngrășământ sunt prezentate mai jos.
Cuprins
Compoziție și scop
În exterior, masa seamănă cu pudră sau granule (sau amestecurile lor) de nuanță de cărămidă gri sau gri. Conține două componente de bază - sulfat de potasiu și sulfat de magneziu. Aceste substanțe, care se dizolvă bine în apă sau în sol umed, devin surse de potasiu, magneziu și sulf disponibile. Uneori există un amestec de mică cantitate de clor - dar nu mai mult de 1%, ceea ce face posibil ca acest îngrășământ să nu fie clor.

Kalimag este utilizat pentru aplicare uscată la sol, precum și pentru pansamente lichide și rădăcini foliare. Efectul benefic al medicamentului se manifestă cel mai mult în faza de creștere a tuberculilor și culturilor de rădăcini, maturarea fructelor.
Efectul este deosebit de vizibil în terenuri precum:
- nisip ușor de nisip și nisip (alimentarea necesită mai multe etape);
- materie primă;
- sod-podzolic (în special textura acră, ușoară și medie);
- săracă lut.
Mecanism de acțiune
Magnezia de magneziu este deosebit de valoroasă prin faptul că componentele sale se completează reciproc.
potasiu
- responsabil de absorbția apei;
- ameliorează stresul de temperatură;
- formează tuberculi și ovare;
- îmbunătățește gustul, culoarea și siguranța culturii;
- crește rezistența la iarnă.

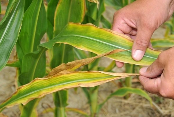
Atunci când plantele de înfrușare de potasiu devin lente, creșterea ovarelor și tuberculilor este inhibată. Frunzele (mai ales cea inferioară) devin galbene sau devin maro între vene și sunt acoperite cu pete întunecate. Fructele castraveților se subțiază la bază (forma unei pere).
magneziu
- face parte din clorofila, reglează fotosinteza;
- ajută la absorbția fosforului;
- în fructe și tuberculi crește cantitatea de carbohidrați (zaharuri, amidon), vitamina C.

Deficiența acestui element duce la distrugerea clorofilei. Venele frunzelor rămân verde, dar restul spațiului frunzelor devine galben sau orangis, apoi devine roșu sau maro. Opriți frunzele inferioare, întârzie dezvoltarea generală. Fructele nu acumulează dulciuri, iar tuberculii - amidon.
sulf
- ajută la sinteza clorofilei;
- dezvoltă sistemul de rădăcină (în special în plantele din familia leguminoaselor);
- este o componentă a țesuturilor și uleiurilor vegetale (în familia cruciferă, precum și ceapa și usturoiul).
Lipsa sulfului se manifestă prin albirea și aruncarea plăcilor de frunze, inhibarea creșterii rădăcinii.

Rădăcina și nutriția foliară a îngrășământului de potasiu-magneziu previne deteriorarea hranei, în special în cazul solurilor ușoare și al culturilor sensibile.
Plante care răspund la calmagnezia
Îngrășământul este deosebit de bogat în potasiu și este ideal pentru culturile care au nevoie de el (și, în același timp, nu tolerează clorul). O cantitate solidă de magneziu și sulf asimilabil fac Kalimag atractiv pentru multe plante.
Hrănirea va fi încântată:
- struguri;
- cartofi;
- castraveți; dovlecel; pepeni și tărtăcuțe;
- roșii, ardei, vinete;
- fasole, fasole, mazăre;
- floarea-soarelui;
- sfecla de zahăr;
- varză, ridichi, daikon, ridiche, turnip, rutabaga, turnip;
- ceapa, usturoi;
- morcovi, sfecla, radacina de telina;
- căpșuni, zmeură, coacăze negre, cireșe, mere;
- conifere;
- trandafiri;
- culturi ornamentale cu abundență de frunziș;
- pășunat;
- hrișcă.

Punctele tari și punctele slabe
Ca multe alte îngrășăminte, Kalimag necesită respectarea strictă a dozei. Nu trebuie să uităm că este o substanță chimică.
contra:
- În comparație cu sulfatul de potasiu și clorura de potasiu, în el mai puțin fracțiunea de masă de potasiu.
- În comparație cu sulfatul de magneziu, conține mai puțin magneziu și sulf.
- Nu funcționează asupra cernoziomului și a sireemului (sulfatul de magneziu este mai util aici).
- Este imposibil aplicați pe solonetz (crește salinizarea).
- S-au spălat rapid pe terenuri ușoare și umede.
- toxicitate pentru plantele cu aplicare excesivă (întunecarea și înmuierea frunzelor).

Pro:
- Conține un complex de substanțe cu 3 componente completarea acțiunii reciproce - acesta este un avantaj față de cele mai simple: sulfatul de clorură și potasiu, sulfatul de magneziu, făina de dolomit, amestecul de potasiu-var.
- Nu toxice pentru multe plante de clor (spre deosebire de clorura de potasiu).
- bine se dizolvă.
- Nu slyozhivatsya când este stocat.
- Potrivit pentru diferite tipuri de pansamenteîn orice lună a sezonului.
- Rapid și plin absorbită de plante.
- Este potrivit pentru multe culturi.
Acest complex de îngrășăminte nu are dezavantaje semnificative. Sub rezerva recomandărilor, rezultă o eficiență ridicată.
Reguli generale pentru hrănirea cu Kalimag
Îngrășământul este util în grădină și grădină pe tot parcursul sezonului.

- Toamna sau primavara turnarea sub arat, Săpat: 3-4 kg pe sută.
- Sa uscat (și slăbit) în primăvară în zona rădăcinilor arborilor și bucșe: 35 g pe 1 pătrat. metru. La sfârșitul lunii august - o procedură similară pentru căpșuni și conifere.
- Pentru culturile de fructe și boabe: pulverizare în timpul perioadei de creștere a ovarelor (20 g pe 10 l de apă).
- Cartofi (pentru amidon și porozitate): 1 lingurita pe godeu la plantare. Înainte de sacrificare se presează 200 g pe 10 metri pătrați. metri; sau se presara in timpul inmuguririi, apa la inceputul cresterii tuberculilor (20 g pe 10 l de apa).
- Udarea sau pulverizarea legumelor rădăcinii, cepei, usturoiului - În stadiul inițial de îngroșare a părții subterane: 25 g per găleată de apă.
- Roșii, castraveți, alte legume: 2-3 rădăcini radiculare și foliare în timpul sezonului de creștere (20 g per găleată de apă).
- Plante ornamentale: pulverizare înainte de înflorire și udare la sfârșitul verii: 25 g per găleată de apă.
Instrucțiuni de utilizare pentru struguri
Pentru struguri, conținutul de zahăr din fructe de padure este deosebit de important. Kalimag este unul dintre cele mai eficiente mijloace de acumulare a zahărului. Cu o lipsă de hrană, strugurii se usucă. În plus, acest îngrășământ crește rezistența la iarbă a bușonului de struguri.

- În iulie sau august (la momentul creșterii active a mărimii ovarului) se administrează o alimentare cu rădăcină lichidă: 1 linguriță. lingura pe 10 litri. apă - pe 1 buc. O soluție de concentrație similară poate fi efectuată și prin pulverizare 2-3.
- În toamnă 20 g se introduc în zona de rădăcină a fiecărei bucșe (slăbiți uscat și apă).
Reguli de amestecare
Kalimag nu este recomandat să se combine cu ureea, stimulentele și pesticidele.
Primul ajutor pentru otrăvire
Aparținerea clasei III de pericol sugerează acest lucru o substanță poate deveni periculoasă doar dacă este utilizată pentru alt scop decât cel prevăzut. Poate cauza otrăvire dacă este înghițită.În acest caz, vărsarea nu poate fi apelată; Trebuie să beți 2-3 pahare de apă cu comprimate zdrobite de cărbune activ (10-15 bucăți), să solicitați ajutor medical.
Perioada de valabilitate și condițiile de depozitare

Perioada de garanție de depozitare - 5 ani de la producere. Cu toate acestea, substanța chimică este stabilă, iar durata reală de depozitare nu este limitată.
Medicamentul nu impune cerințe speciale privind condițiile de depozitare: nu arde, nu explodează, nu este comprimat, nu absoarbe umezeala din aer. Trebuie protejat numai de apă: se dizolvă ușor.
Kalimagneziya este un mijloc accesibil și ușor de utilizat pentru creșterea randamentelor. Acesta este unul dintre cele mai bune produse care îmbunătățesc prezentarea și valoarea nutritivă a culturii.