Există o mulțime de soiuri de pepeni diferite. Grade Ethiopka - una dintre cele mai populare. Este creat de crescătorii ruși. Diferențele sale față de alte soiuri în germinație înaltă a germenilor și mărimea fructelor. Fructele de Melon Ethiopka sunt ușor de transportat și sunt amintite pentru gustul lor dulce.
Cuprins
Descrierea și caracteristicile soiului Ethiopka
Melon Ethiopka tolerează perfect căldura și nu este supus formării arsurilor solare pe crustă.
Arborele de arbuști arată compact, fără genele lungi.De la un tufiș se va ajunge să colecteze 5-6 fructe.
Conform descrierii fructele de Etiopka sunt mari, rotunde, galbene închise și separate de dungi pe coajă. Din cauza asta, arata ca un dovleac. Pentru a atinge fructele sunt dure, acoperite cu un model de ochiuri fine.
Carnea sa este albă și suculentă, exudă o aromă plăcută de pepene. Pe gust - miere.
caracteristici:
- mediu varietate timpurie;
- fructele coapte după 80 de zile;
- greutatea medie fetală - 4 kg;
- termenul de valabilitate a fructului - o lună;
- crusta groasă vă permite să transportați fructele, fără teama de a le distruge.

Pregătirea pentru plantare
Melon Ethiopka - plantă termofilă. În regiunile sudice ale Rusiei, semințele pot fi însămânțate direct în pământ și se așteaptă la lăstari.
În latitudinile mijlocii și nordice ale țării, este preferabil să se utilizeze metoda de răsaduri de plantare a Etiopiei.
Acest lucru va permite ca pepene galben să se coacă și să evite înghețurile neașteptate, deoarece o temperatură scăzută este în detrimentul pepenei. În plus, metoda de răsadire va permite recoltarea pepenilor mai devreme în 2-3 săptămâni.

Înainte de plantare semințele sunt pregătite. Sunt îmbibate pentru o zi în apă caldă sau într-o compoziție specială pentru tratarea prealabilă a semințelor. Aceasta va satura semințele cu micronutrienți și va îmbunătăți germinarea.
În etapa de pregătire, este ușor să se identifice semințele de calitate scăzută: cele care au apărut în apă sunt aruncate, cele care au căzut la fund vor da o recoltă bună.
Semințele sunt plantate în recipiente speciale pentru răsaduri, vase de turbă sau mâncăruri de casă. Pentru a nu se infiltreze rădăcini cu rădăcini, acestea sunt plantate în recipiente individuale sau așezate unele de altele.
Puteți lua solul grădinii, dar trebuie să fie pregătit:
- Reduceți aciditatea solului cu var, nisip sau ouă.
- Adăugați turbă și compost pentru a îmbogăți solul.
- Dezinfectați solul cu o soluție slabă de permanganat de potasiu.
În tancurile unde pământul va adormi, ar trebui să se facă găuri pentru a scurge excesul de apă. Drenajul este turnat în partea de jos și un strat de sol este așezat pe partea de sus.Semințele sunt scufundate la o adâncime de 4-5 cm și acoperite cu un film.
Când apar primele imagini, filmul este eliminat. Dacă semințele au fost plantate într-un recipient obișnuit, lăstarii fragili sunt îndepărtați. Restul sunt fertilizate cu îngrășăminte minerale și plasate într-un loc însorit.
Dacă nu există posibilitatea de a da suficient răsaduri într-o cameră de zi, atunci în valoare de cumpărare lămpi pentru plante.

Plantarea și udarea
Plantarea ar trebui să aibă loc la mijlocul lunii mai.. Este pregătit prin reducerea udării și expunerea străzii timp de câteva ore. Așa că mugurii se adaptează mediului viitor.
Varza este plantată în sol la o distanță de jumătate de metru una de cealaltă. Patul poate fi preîncălzit prin îngroparea humusului amestecat cu solul până la o adâncime de 40-50 cm. Deasupra ei, faceti gauri pentru violurile viitoare si turnati-le abundent cu apa.
Atunci când apa este absorbită în sol, pot fi plantate puieți. Pepeni de pământ îngropați în pământ la nivelul pliantelor inferioare.
Temperatura apei pentru udare Etiopia nu trebuie să fie mai mică decât temperatura ambiantă. Trebuie să se ia măsuri pentru a se asigura că solul din jurul tulpinii nu se usucă, dar este, de asemenea, periculoasă inundarea plantelor.
Cu jumătate de lună înainte de recoltare, udarea ar trebui să se oprească.astfel încât fructele să obțină cantitatea potrivită de zaharuri, iar carnea să nu devină apoasă.

Pepeni de pește
Melon Ethiopka răspunde bine la îngrășămintele care conțin potasiu. În plus, mulți grădinari folosesc pe bază de plante pentru hrănirea Ethiopka și presărați pământul din jurul plantei cu cenușă de lemn.
Ambele hrănește solul și ajută la lupta împotriva dăunătorilor.
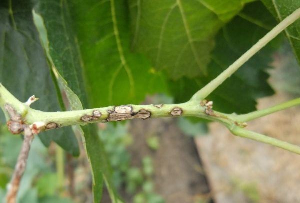
Boli în cultivare
Etiopka este susceptibilă la boli fungice:
- Piciorul negru.
- Întărirea culturilor de măsline.
- Roua îngrădită.
Cu fața de măsline la plante apar pete cenușii grași. Decontaminarea solului și curățarea reziduurilor de plante și a plantelor bolnave din grădină va ajuta la evitarea ciupercilor.
Când apar primele semne ale ciupercilor, se recomandă pulverizarea plantelor cu amestec Bordeaux sau cartocid.

Piciorul negru cel mai adesea afectează lăstarii imaturi de răsaduri și le distruge. Rădăcinile plantelor afectate putrezesc, motivele pentru care se află în:
- prezența sporii ciuperci în sol;
- umiditate excesivă în cameră;
- udare excesivă;
- temperaturi scăzute.
Pentru a evita acest lucru, este necesar să se respecte regimul de plantare și să se asigure că lăstarii primesc suficientă lumină.
Apariția pe plăcile albă este un semn de mucegai. Sub patina, forme de ulcere, sporii ciupercii trag nutrienți din plantele bolnave.
Mierea pudră apare din cauza excesului de azot din sol. și încălcând regimul de irigare. Lupta împotriva mucegaiului cu substanțe fungicide:
- VitaRos;
- Topaz;
- Fundazol.

Cultivarea pepenei Ethiopka nu necesită condiții specifice. Dacă urmați reguli simple, puteți obține cu ușurință un randament mare (în medie 100 cenți pe hectar).
Pepeneaua etiopiană este populară în Rusia, în țările din Asia Centrală și Asiatică. Crescătorii îmbunătățesc în mod constant acest soi. În viitor, vor apărea noi soiuri de pepeni pe baza soiului Ethiopka.