Il mais, come ogni coltura vegetale, richiede attenzione e risponde alle cure. Fare i fertilizzanti e le medicazioni necessarie al momento giusto aumenta significativamente la resa, migliora la qualità del prodotto.
È importante notare la carenza di sostanze necessarie nel terreno e reagire. Inoltre, gli agricoltori spesso cercano di nutrire il mais dopo la semina e utilizzano a questo scopo alcuni microfertilizzanti, rimedi popolari, salnitro. Tutti i mezzi per fertilizzare hanno bisogno di fare secondo i regolamenti.
Indice
La necessità di nutrire il mais
Oltre all'introduzione di dosi shock di fertilizzanti di base nella coltivazione di terreni leggeri o "stanchi", è necessaria la concimazione.
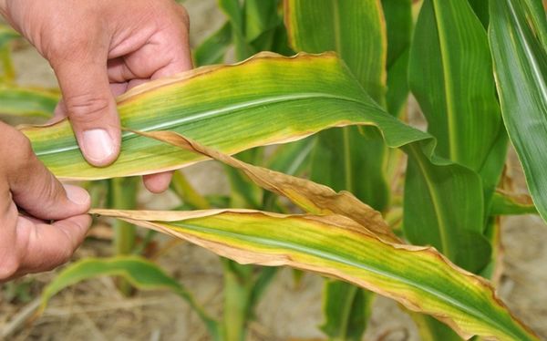
Verdura sempre lo segnala colore delle foglie, dimensioni, quantità, qualità delle infiorescenze e pannocchia. Nel tempo trascorso vestire correggere la situazione.

Tipi di condimenti e tassi di applicazione per una buona crescita e resa
Esistono molti tipi di additivi, ognuno dei quali svolge un ruolo specifico. Non è necessario aspettare fino a quando il vegetale non entra nella fase di digiuno.
Regioni della steppa della Terra Nera il più delle volte soffre di una mancanza di elementi di fosforo e azoto. L'introduzione di un fertilizzante pianificato prima di piantare non è in grado di assolvere il compito principale, dato che il top-dressing di questo tipo viene rapidamente lavato o perde la sua forza in estate, quando il mais raccoglie il colore, inizia a formare un orecchio.
Steppa forestale, più regioni settentrionali bisogno di fertilizzante minerale complesso Anche gli alimenti vengono prodotti quando si rileva una carenza.
È necessario usare questo o quel fertilizzante in diversi periodi dell'anno, poiché il loro termine d'azione è diverso, così come il periodo della scissione degli elementi in sostanze digeribili per il mais.
organico
La verdura risponde prontamente all'introduzione letame e terra nera in terreni argillosi e sabbiosi. I prodotti organici contribuiscono in autunno, ma in primavera, prima di piantare, non sarà superfluo chiudere il terreno nero nelle buche.

Letame fresco che vale la pena usare solo sotto forma di verbascoversato con acqua in una botte e invecchiato per 3-5 giorni.
10 kg il letame fresco deve riempire 50 litri di acqua. Dopo 5 giorni, diluire 1 - 2 litri del mullein attuale per 10 litri di acqua. Portare direttamente sotto la radice dopo un'attenta annaffiatura. all'inizio della formazione del peduncolo.
La mancanza di materia organica può essere trovata su caratteristiche come:
- Stelo leggero e sottile del germe;
- Il terreno attorno al gambo diventa una crosta dopo che il terreno si asciuga.
Fertilizzanti minerali

I giardinieri che calcolano in modo indipendente la quantità di sostanze necessarie devono tener conto del fatto che quando si combinano sostanze minerali e materia organica, attenersi al rapporto 2 a 1. Più aggiungi composti organici, meno minerali hai bisogno.
azoto
In primavera - principalmente l'applicazione di fertilizzanti, il 50% della quantità totale viene sepolto nel terreno e il restante 50% viene fertilizzato, poiché l'azoto viene rapidamente assorbito dal terreno.
La prima poppata è fatta quando si formano le prime 5 foglie, il secondo - al momento della formazione del peduncolo.
La mancanza di azoto è facilmente riconoscibile dallo stato e dal colore delle foglie. Le loro piante e il colore delle piante sottili, a differenza di quelli sani, diventano giallastri, dicono della mancanza. Al primo rilevamento di tali modifiche, è necessario agire immediatamente. Si mostra bene per la rapida riduzione dell'azoto nell'acqua di ammoniaca del suolo.

Agricoltori esperti e giardinieri subito dopo la fine della fioritura, trasformano l'impianto del 30% ogni 10 giorni soluzione di urea. Questo trucco aumenta la resa del 15-30%.
Potassio e fosforo
Questi elementi sono spesso riuniti insieme.
- A causa della presenza di fosforo, il potassio è più facilmente assorbito dalla pianta.
- Con l'aiuto di questi elementi, la pianta ottiene la massa necessaria, tollera più facilmente il freddo;
- Il potassio è necessario per una corretta distribuzione nell'acqua della pianta;
- Il fosforo risponde per un'educazione tempestiva e di alta qualità di cereali e foglie;
- L'uso di questi componenti riduce l'incidenza del rzoy.
Se pianta non abbastanza potassio, può essere compreso da segni quali:
- I bordi delle foglie cominciano ad acquisire una forma ondulata;
- La foglia diventa verde scuro;
- Punti chiari appaiono sulla punta della foglia, che alla fine diventa marrone.
Fosforo inedia può essere visto nelle prime fasi e più spesso una giovane pianta è soggetta ad esso:
- Su un piccolo germoglio anche foglie verdi;
- La crescita delle piante è lenta;
- I bordi delle foglie inferiori dall'interno cominciano ad acquisire una tonalità viola.

Durante la stagione di crescita, nella fase di 6-7 foglie, nel corridoio sono inserite le seguenti:
- Superfosfato al ritmo di 3 kg / ha;
- Concimi di potassio - 0,5 kg / ha.
Top spogliatoio con carbammide
Questo è il metodo più veloce e più qualitativo per il trasferimento di azoto alla pianta. È rilevante quando la pianta è ferma non ha avuto il tempo di sperimentare la fame di azoto. L'urea migliora la permeabilità degli elementi fertilizzanti attraverso il foglio. È facilmente utilizzato come conduttore per l'applicazione di medicazioni di vario tipo, l'applicazione di pesticidi.
Spesa massima per spogliatoio su piante sane. A una temperatura non superiore a 20 gradi, in tempo calmo.
Molto spesso, viene utilizzata una soluzione di urea insieme a zolfo e magnesio, che sono altrettanto facilmente assorbiti dalla pianta attraverso le foglie.
La soluzione di trattamento deve essere al massimo tra il 5 e il 6%, altrimenti è possibile bruciare le foglie. Ma allo stesso tempo, la portata della soluzione dovrebbe essere di almeno 250 l / ha.

Vantaggi e svantaggi dei fertilizzanti e dei rimedi popolari
I vantaggi includono le seguenti condizioni:
- Con l'uso di fertilizzanti, la pianta riceve tutti gli oligoelementi necessari, che sono insufficienti in terreni leggeri;
- impianto meno malato;
- La pianta è meno suscettibile ai parassiti;
- Il rendimento aumenta;
- Il rischio di "fame" della terra per il prossimo anno è ridotto.
Gli svantaggi possono essere attribuiti solo alla manipolazione inetta delle medicazioni:
- Nella corsa per il rendimento sazietà terra fertilizzanti artificiali per lungo tempo priva della sua fertilità;
- La sazietà di prodotti con microelementi può causare allergie e malattie croniche nell'uomo.
L'uso corretto dei fertilizzanti, sia durante l'autunno, il periodo primaverile e le medicazioni fogliari, porterà un raccolto sano e armonioso. Se non si è sicuri della necessità di creare uno o l'altro elemento, è necessario assicurarsi e solo dopo averlo utilizzato.