Most people love raspberries., it grows everyone who has his own piece of land. Raspberry grows in the southern and northern regions.
The period when the plant brings fruit, small - the most peak occurs in June and July.
In this article, we have prepared a detailed description of a grade of raspberry "Polana" and some tips on planting and caring for her.
Table of contents
Characteristics of the variety, yield
Polana Raspberry is a new variety.. She bred by Polish breeders by crossing two varieties - Zeva and Heritage.
In Russia, it took root relatively well. Berries belong to the medium-large size, weight varies within 3-5 grams. Color - purple.
According to gardeners, the taste of berries is sour. In sunny weather, the berries are much sweeter. Therefore, by the end of ripening, taste is reduced, since there are not so many sunny days.
The ripening period begins at the end of July. and ends in mid-October. In the period of ripening berries are located along the bush to the top.
If there was good lighting, then 80% of the berries will have time to ripen before the onset of cold weather. For better fruits, it is recommended to cover the bushes at night with a light but durable material. Depending on the climate, the period varies.

Berries are stored for a long time and tolerate transportation., in consequence of which, in the market, berries are always fresh.
Polana has powerful shoots that lack thorns. At the base of the shoots thickness reaches 4 centimeters. The length reaches 1.6 - 1.8 meters in height. Despite this, they cope with the large weight of the berries, even without support.
Leaves alternate with petiole. They have from 3 to 7 leaves. The color of the leaves is dark green on top and white on the bottom.
The ideal growing climate is the mid-southwest.. Although raspberries easily tolerate the winter cold, it is not recommended to grow in the northern regions. Soils - chernozem and sandy.
Scientists call raspberry variety for the lazy, as it does not require careful maintenance. The plant has a good winter hardiness, can withstand temperatures up to -32 degrees.
Description of advantages and disadvantages
Grade advantages:
- root system resistance to frost;
- high yield;
- fast ripening;
- long period of fruit offering;
- resistance of ripe berries - not showered from the bush;
- ease of transportation;
- easy reproduction;
- resistance to pests and diseases.

The disadvantages of the variety:
- weak shoots resistance to frost;
- ability to dry;
- overgrowth of root shoots.
Features planting raspberries
That raspberry brings a good harvest, take care of proper fit. It is believed that the plant is unpretentious, but still recommended to follow simple rules to achieve a good harvest.
The optimal time for planting seedlings - late fall.
Polina Raspberry likes a lot of sunshine. The creation of the shadow leads to a decrease in yield and a decrease in the taste of the berries.
You may be interested in the following articles:
This variety, like other similar, does not need careful ground selection, but it will be more comfortable for the plant in sod-podzolic non-acidic soils. Soil fertility also plays an important role in the future harvest.
Polana raspberry variety loves moisture, but stagnation of water leads to the death of plants. Therefore, it is worth planting seedlings so that the groundwater is at a height of 1.5 meters.
Also protect the landing site from strong winds. Choosing seedlings, make sure that the roots are not damaged and dried.
To refresh the roots, place the raspberry seedling for a couple of hours in a container with water. When transporting the roots of the plant is recommended to be wrapped in cloth.
Rules and Stages
General stages of planting seedlings:
- Dig trenches to a depth and width of 50 centimeters. The length comes from the number of seedlings. It is calculated based on the fact that the distance between plants is 0.8-1 meters from each other.
- Fill one third of the well with fertilizer mixed with a fertile layer of soil.
- The roots of the seedling gently straighten and place in the middle of the hole. Before these roots need to be placed in a clay solution.
- Fill the wells with soil, leave the root collar 3-5 centimeters above the ground.
- Planted seedlings pour water, plow the soil and cover with mulch. For mulch, take peat or compost.

Raspberry seedlings are planted either in the pits or in trenches. Trenching:
- to clean the soil from the soil and debris;
- put the film between the rows;
- insert the pegs on which you want to pull the rope;
- put fertilizer on the bottom of the trench;
- plant seedlings in a trench at a distance of one meter from each other;
- cover the earth and pour a little water.
Planting raspberry seedlings in the fossa:
- dig holes with a depth and diameter of 35 centimeters;
- mix fertilizer with soil and fall asleep in the pits;
- make a fence on the border raspberry;
- carefully examine the seedlings and remove the damage;
- plant seedlings at a distance of 0.8-1 meters;
- thoroughly water the seedlings;
- grind the soil.
Polana loves calcareous land. If there is not enough lime in the soil, then artificial liming is required 3-4 times a year.
Secrets of proper bushes care
During the whole growing season it is required to moisten the soil, but not to flood the plants. In case of drought, it is necessary to water raspberries once every two days, taking into account 2-3 buckets of water per bush.
In the autumn period it is recommended to feed the plants. manure or compost. On one raspberry bush requires one bucket.
During the growing season raspberries are fed fresh mullein or bird droppings. In the first days of summer, it is recommended to mulch the soil to give the soil looseness.
After the crop is harvested, it is required to completely trim the shrubs. To raspberry not lost its properties, it is recommended leave the shoots above the ground no more than 8 centimeters.

After such pruning raspberries easier to move the winter cold. Every year in April is required to trim the frozen and dried bushes.
In the winter you can not cover the plants - natural snow cover will be enough.
Cut the bushes need the onset of the first frost. If you do this earlier, then the plants will not receive the necessary nutrients to the roots.
Raspberry Reproduction:
- green shoots - the most popular way;
- root cuttings - It is used when there are not enough green shoots. It is considered the most effective;
- the seeds - in this way it reproduces naturally in nature, in the gardens this technique does not apply.
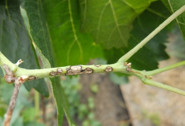
Polany's diseases and pests
This raspberry variety distinguished by disease and pest resistance. But there are several diseases that should be feared.
Botrytis or gray rot
This is a fungal disease.which is characterized by the appearance of dark spots on the leaves and berries. During the disease, the berries begin to rot and become covered with gray cannon, as a result the raspberries die.
In order that the disease does not hurt, it is required to process seedlings. In the spring to spray solution Bordeaux liquid.
Also need to process after harvesting. If the disease progresses and after treatment, you will have to destroy all the seedlings.
Dwarfism or growth
The people called this disease "Witch Broom". The causative agents are insects that carry a variety of viruses. The disease manifests itself in small shoots, which does not produce crops.
To overcome the diseaseIt is recommended to destroy the focus of the disease - uproot and burn the affected seedlings.
Anthracnose
The causative agent of this disease is considered a fungus. This disease is considered common and most dangerous. Affected seedlings no longer bear fruit. Gray spots of up to 3 millimeters cover the leaves of the plant.
To beat the disease, it is required to get rid of the causative agents of the disease - berries, leaves and shoots. In the spring it is recommended to spray copper oxychloride.

The first time you want to spray with the germination of buds, the second time after flowering, and the third time two weeks after the second spraying.
Everyone who is the owner of the raspberry Polany, can not boast of high quality of the crop. This variety will be an excellent option for the sale of fruits and for personal use.
From one plot of Polana can bear up to two hundred kilograms of fruit in the first year of cultivation.